ΗΠΑ: Ο κυκλώνας Μίλτον απέχει 240 χιλιόμετρα από την Τάμπα
Ανεμοστρόβιλοι σχηματίζονται στη νότια Φλόριντα
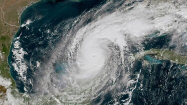
Ο κυκλώνας Μίλτον απέχει περίπου 240 χιλιόμετρα νοτιοδυτικά της πόλης Τάμπα και συνοδεύεται από ανέμους που πνέουν με ταχύτητα 215 χλμ./ώρα, ανακοίνωσε το Αμερικανικό Κέντρο Κυκλώνων (NHC).
Εκατομμύρια άνθρωποι κατά μήκος της ακτογραμμής της Πολιτείας έχουν λάβει εντολή να εκκενώσουν την περιοχή, μόλις δύο εβδομάδες μετά το καταστροφικό πλήγμα που δέχτηκε από τον κυκλώνα Ελίν. Οι αρχές εκδίδουν συνεχώς προειδοποιήσεις καθώς ο Μίλτον πλησιάζει και αναμένεται να φτάσει στην ξηρά γύρω στα μεσάνυχτα, τοπική ώρα.
Η Εθνική Μετεωρολογική Υπηρεσία επιβεβαίωσε ότι τουλάχιστον πέντε ανεμοστρόβιλοι σχηματίστηκαν στη νότια Φλόριντα νωρίς το απόγευμα.
Οι τέσσερις γέφυρες στον κόλπο της Τάμπα έκλεισαν πριν από την άφιξη του κυκλώνα. Σχεδόν όλοι όσοι αποφάσισαν να φύγουν το έχουν ήδη κάνει και οι περισσότεροι δρόμοι στο γειτονικό Σεντ Πίτερσμπεργκ ήταν σχεδόν έρημοι το μεσημέρι σήμερα.
Κλειστοί είναι και οι περισσότεροι υπερυψωμένοι αυτοκινητόδρομοι που συνδέουν την ηπειρωτική χώρα με τα νησάκια του Κόλπου, με αποτέλεσμα να αποκλειστούν όσοι αψήφησαν τις προειδοποιήσεις και έμειναν στα σπίτια τους.
Στο πάρκινγκ του καταστήματος Walmart στο Σεντ Πίτερσμπεργκ, ένας άνδρας περίμενε με το μαύρο βανάκι του να μεταφέρει επιβάτες σε καταφύγιο. Αλλά κανείς δεν εμφανίστηκε. «Δεν νομίζω ότι περιμένουν (να φύγουν) την τελευταία στιγμή», είπε, ενώ η βροχή έπεφτε ήδη στην οροφή του οχήματος. «Οι περισσότεροι έχουν ήδη φύγει. Δεν κάθισαν να περιμένουν», εξήγησε.
Η Ντιάν Κρίσγουελ, η διευθύντρια της FEMA, της ομοσπονδιακής υπηρεσίας διαχείρισης επειγόντων περιστατικών, είπε ότι θα παραμείνει στη Φλόριντα και μετά το πέρασμα της καταιγίδας για να βοηθήσει στον συντονισμό της αποκατάστασης των ζημιών. Η FEMA έχει μεταφέρει εκατομμύρια λίτρα νερού, γεύματα και άλλα εφόδια στην περιοχή. «Θέλω ο κόσμος να το ακούσει από εμένα την ίδια, η FEMA είναι έτοιμη», τόνισε.
- ΗΠΑ: Η Φλόριντα προετοιμάζεται για τα χειρότερα ενόψει της άφιξης του κυκλώνα Μίλτον
- Ο Πάπας Φραγκίσκος θα συναντηθεί με τον Ζελένσκι
- Ισραήλ: Δύο νεκροί από ρουκέτα που προήλθε από το Λίβανο
