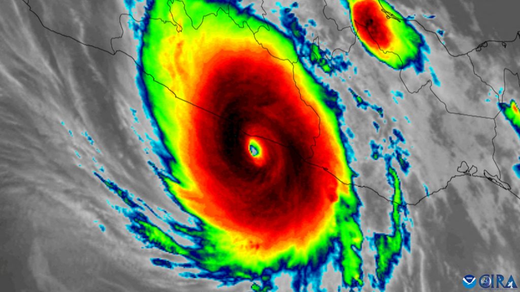
Τυφώνας Otis: Καταστροφική η επέλαση των φαινομένων για το Ακαπούλκο
Μέχρι στιγμής δεν υπάρχουν αναφορές από τις αρχές για θύματα
Η περίφημη λουτρόπολη Ακαπούλκο, στο νοτιοδυτικό Μεξικό, υπέστη εκτεταμένες καταστροφές και παρέμενε αποκλεισμένη από τον υπόλοιπο κόσμο χθες βράδυ, ενώ όδευε να συμπληρωθεί 24ωρο αφού τη χτύπησε ισχυρός τυφώνας. Δεν εκτελούνταν πτήσεις, ούτε δρομολόγια λεωφορείων, διαπίστωσε φωτοειδησεογράφος του Γαλλικού Πρακτορείου μετά το πέρασμα του Ότις, με ανέμους ταχύτητας ως και 315 χιλιομέτρων την ώρα.
Δεν υπήρχε επίσης πρόσβαση στο διαδίκτυο, ούτε ρεύμα, πρόσθεσε. Χρειάστηκε να φύγει από τον τουριστικό μαγνήτη για να μπορέσει να μεταδώσει τις εικόνες που τράβηξε. Η κατάσταση ήταν ιδιαίτερα δύσκολη για τους τουρίστες και τους επισκέπτες, που δεν μπορούσαν ούτε να φύγουν, ούτε να επικοινωνήσουν με τους δικούς τους. Τα πρώτα πλάνα και στιγμιότυπα από την πόλη πιστοποίησαν πως πολυτελή ξενοδοχεία και εμπορικά κέντρα υπέστησαν ζημιές, σε κάποια δεν απέμενε παρά η τσιμεντένια δομή τους, και σκηνές από λεηλασίες.
Καταστροφικές ζημιές
Για «καταστροφικές ζημιές» έκανε λόγο η Σιτλάλι Πορτίγιο, διευθύντρια ακινήτου που κατά κανόνα υποδέχεται τουρίστες. «Δεν έχουμε νερό, ούτε ρεύμα, αλλά είμαστε σώοι και ασφαλείας», πρόσθεσε μιλώντας στο μεξικανικό τηλεοπτικό δίκτυο Televisa. Το κτίριο κλυδωνιζόταν «λες και γινόταν σεισμός», πρόσθεσε.
Ο τυφώνας κατηγορίας 5, της υψηλότερης στην πεντάβαθμη κλίμακα Σαφίρ-Σίμσον, έφθασε πάνω από το έδαφος λίγο μετά τα μεσάνυχτα (τοπική ώρα· 09:00 ώρα Ελλάδας). Σχηματίστηκε και ενισχύθηκε πάρα πολύ γρήγορα, μέσα σε λίγες ώρες, στα ανοικτά των μεξικανικών ακτών στον Ειρηνικό. Καθώς αρκετοί κάτοικοι καταλήφθηκαν εξαπίνης, αναζήτησαν προστασία όπου μπορούσαν.
Εκτεταμένες καταστροφές άφησε στον διάβα του ο τυφώνας Οτίς

«Θα φροντίσουμε (ο δρόμος) να ανοίξει το συντομότερο δυνατό»
Ο μεξικανός πρόεδρος Αντρές Μανουέλ Λόπες Ομπραδόρ προσπάθησε να φθάσει στην Ακαπούλκο οδικώς, όμως το ταξίδι καθυστέρησε σε δρόμο. Ο αυτοκινητόδρομος είχε καλυφθεί από πελώριο όγκο λάσπης, ξεριζωμένων δέντρων, συντριμμιών, διαπίστωσε ομάδα του Γαλλικού Πρακτορείου.
«Θα φροντίσουμε (ο δρόμος) να ανοίξει το συντομότερο δυνατό», είπε στους δημοσιογράφους που αποκλείστηκαν μαζί του. «Το σημαντικότερο τώρα είναι να φροντίσουμε τον πληθυσμό που επλήγη. Ακόμα δεν έχει γίνει αποτίμηση των ζημιών, επειδή δεν υπάρχουν τηλεπικοινωνίες», δήλωσε η εθνική συντονίστρια της Πολιτικής Προστασίας Λάουρα Βελάσκες στην τηλεοπτική υπηρεσία της εφημερίδας Milenio.
Χωρίς ρεύμα
Καθώς ξημέρωνε την Τετάρτη, μεγάλο μέρος της Ακαπούλκο των σχεδόν 780.000 κατοίκων ήταν χωρίς ρεύμα λόγω διακοπής που αποφασίστηκε προληπτικά, σύμφωνα με ΜΜΕ.
Η ομοσπονδιακή επιτροπή ηλεκτρισμού (CFE, δημόσια) διαβεβαίωσε πως η ηλεκτροδότηση σταδιακά αποκαταστάθηκε για περίπου το 40% των 504.000 πελατών της στην περιοχή της Ακαπούλκο που πλήττονταν. Αφού έφθασε πάνω από το έδαφος, ο τυφώνας αποδυναμώθηκε, όπως προέβλεπαν μετεωρολόγοι.
Πολίνα, Νόρμα, Πατρίσια, Ίνγκριντ
Την 9η Οκτωβρίου 1997, η Ακαπούλκο είχε χτυπηθεί την από τον τυφώνα Πολίνα, που έφθασε στο έδαφος ενώ κατατασσόταν στην κατηγορία 4. Οι αρχές είχαν κάνει λόγο τότε για πάνω από 200 νεκρούς· επρόκειτο για μια από τις πιο πολύνεκρες φυσικές καταστροφές που έχουν πλήξει το Μεξικό τις τελευταίες δεκαετίες, εξαιρουμένων ισχυρών σεισμών.
Την περασμένη εβδομάδα, ο τυφώνας Νόρμα στοίχισε τη ζωή σε τρεις ανθρώπους λίγο βορειότερα, στην πολιτεία Σιναλόα. Ανάμεσα στον Ειρηνικό και στον Κόλπο του Μεξικού, πολλές μεξικανικές πολιτείες πλήττονται από τυφώνες την περίοδο από τον Μάιο ως τον Οκτώβριο, ενίοτε ως και τον Νοέμβριο. Περίπου δέκα υφέσεις κάθε χρόνο μεταμορφώνονται σε τυφώνες, λιγότερο ή περισσότερο καταστροφικούς, ανάλογα με το πού θα χτυπήσουν.
Τον Σεπτέμβριο του 2013, ο κυκλώνας Ίνγκριντ στον Κόλπο του Μεξικού και η τροπική καταιγίδα Μανουέλ στον Ειρηνικό Ωκεανό έπλητταν ταυτόχρονα τη χώρα. Η αλληλεπίδρασή τους προκάλεσε «ιστορικό» φαινόμενο, που «είχε να καταγραφεί από το 1958», σύμφωνα με τις μεξικανικές αρχές, που είχαν δημοσιοποιήσει σε εκείνη την περίπτωση απολογισμό θυμάτων που έκανε λόγο για 157 θανάτους, κυρίως εξαιτίας κατολισθήσεων.
Αυξάνονται οι ισχυροί κυκλώνες
Με την άνοδο της θερμοκρασίας στην επιφάνεια των ωκεανών, οι κυκλώνες ή τυφώνες (ανάλογα με το πού εκδηλώνονται) γίνονται ολοένα πιο σφοδροί.
Σύμφωνα με τη Διακυβερνητική Επιτροπή για την Κλιματική Αλλαγή, οι εξαιρετικά ισχυροί κυκλώνες (των κατηγοριών 4 και 5) θα αυξηθούν κατά 10% σε σύγκριση με την προβιομηχανική εποχή αν η θερμοκρασία του πλανήτη αυξηθεί περισσότερο από 1,5° Κελσίου.
Εξαιτίας της αύξησης του επιπέδου της θάλασσας και του φαινομένου κατά το οποίο η θάλασσα πλημμυρίζει παραλιακές περιοχές, πάνω από ένα δισεκατομμύριο άνθρωποι θα ζουν σε παράκτιες πόλεις που θα κινδυνεύουν μέχρι το 2050, κατά την επιτροπή.
- Αυτός είναι ο μακελάρης του Μέιν - Φέρεται να έχει μεγάλη εμπειρία με τα όπλα
- Έρευνες στην Κολομβία για τις δολοφονίες 7 υποψηφίων στις τοπικές εκλογές
- Β. Πούτιν: Ο πόλεμος Ισραήλ-Χαμάς μπορεί να επεκταθεί πολύ μακρύτερα από την Μέση Ανατολή
