Συναγερμός στη Τζαμάικα: O κυκλώνας Μελίσα θα είναι ο χειρότερος του αιώνα
Αναμένεται να φτάσει στη στεριά συνοδευόμενος από ανέμους των οποίων η ταχύτητα ξεπερνάει τα 300 χλμ/ώρα - Τουλάχιστον 1,5 εκατ. άνθρωποι αναμένεται να επηρεαστούν
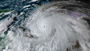
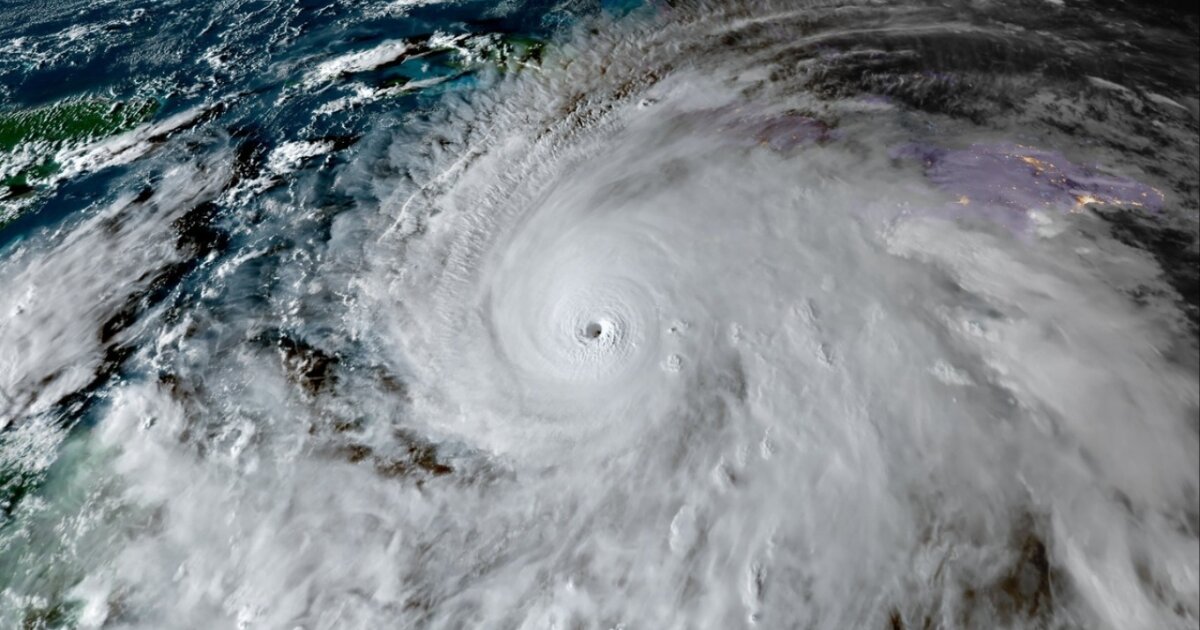
Ο κυκλώνας Μελίσσα, που μπορεί να είναι ο ισχυρότερος στην ιστορία της Τζαμάικα και έχει ήδη στοιχίσει τη ζωή σε αρκετούς ανθρώπους, πιθανόν να επηρεάσει άμεσα τουλάχιστον 1,5 εκατομμύριο ανθρώπους, προειδοποίησε σήμερα ο Ερυθρός Σταυρός.
«Ωστόσο, αυτός ο αριθμός πιθανόν να είναι πολύ μικρότερος από την πραγματικότητα, καθώς οι επιπτώσεις του στον πληθυσμό θα περιλαμβάνουν προβλήματα σε βασικές υπηρεσίες, στις αγορές και φυσικά αποκλεισμούς δρόμων. Αυτό σημαίνει ότι ολόκληρος ο πληθυσμός θα μπορούσε να επηρεαστεί με τον έναν ή τον άλλον τρόπο», δήλωσε σε συνέντευξη Τύπου ο Νεσεφόρ Μγκέντι, επικεφαλής της αντιπροσωπείας στη Διεθνή Ομοσπονδία του Ερυθρού Σταυρού.
Ο Παγκόσμιος Μετεωρολογικός Οργανισμός (WMO) ανακοίνωσε ότι αναμένει σήμερα μια εικόνα καταστροφής στην Τζαμάικα καθώς ο Μελίσσα αναμένεται να φτάσει στη στεριά συνοδευόμενος από ανέμους των οποίων η ταχύτητα ξεπερνάει τα 300 χλμ/ώρα, πλημμύρες και κατολισθήσεις. Ο Μελίσσα είναι ο σφοδρότερος κυκλώνας που πλήττει το νησί αυτό τον αιώνα.
«Για την Τζαμάικα θα είναι ο κυκλώνας του αιώνα, με βεβαιότητα», σχολίασε η ειδική του WMO στους τροπικούς κυκλώνες Αν-Κλερ Φοντάν σε συνέντευξη Τύπου στη Γενεύη.
- Σεισμός 6,1 Ρίχτερ στην Τουρκία: Τραυματισμοί λόγω πανικού και πτώσης από μπαλκόνια - Βίντεο
- Γαλλία: Ζούσαν στην ίδια γειτονιά χωρίς να το ξέρουν - Δύο αδέλφια συναντήθηκαν έπειτα από 57 χρόνια
- Μια όμορφη ιστορία αγάπης στον Καναδά, με ρίζες στην κρητική παράδοση - Βίντεο
