Τζαμάικα: Τουλάχιστον 28 νεκροί από τον τυφώνα Μελίσσα ΚΟΣΜΟΣ 03.11.2025Τζαμάικα: Τουλάχιστον 28 νεκροί από τον τυφώνα Μελίσσα
Καραϊβική: Ιστορική χαρακτηρίζεται η ισχύς του τυφώνα Melissa ΚΟΣΜΟΣ 29.10.2025Καραϊβική: Ιστορική χαρακτηρίζεται η ισχύς του τυφώνα Melissa
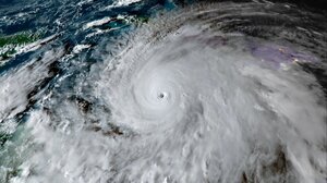
Συναγερμός στη Τζαμάικα: O κυκλώνας Μελίσα θα είναι ο χειρότερος του αιώνα ΚΟΣΜΟΣ 28.10.2025Συναγερμός στη Τζαμάικα: O κυκλώνας Μελίσα θα είναι ο χειρότερος του αιώνα
Τζαμάικα: Συναγερμός για τον ισχυρότερο κυκλώνα στην ιστορία της χώρας ΚΟΣΜΟΣ 28.10.2025Τζαμάικα: Συναγερμός για τον ισχυρότερο κυκλώνα στην ιστορία της χώρας
Τυφώνας Melissa: Ενισχύθηκε στην κατηγορία 5 ΚΟΣΜΟΣ 27.10.2025Τυφώνας Melissa: Ενισχύθηκε στην κατηγορία 5
«Rockhouse: The Book»: Η ιστορία του εμβληματικού ξενοδοχείου στη Τζαμάικα LIFESTYLE 17.11.2024«Rockhouse: The Book»: Η ιστορία του εμβληματικού ξενοδοχείου στη Τζαμάικα
Τζαμάικα: Σε κατάσταση έκτακτης ανάγκης η Κλάρεντον μετά τις δολοφονίες 8 ανθρώπων ΚΟΣΜΟΣ 14.08.2024Τζαμάικα: Σε κατάσταση έκτακτης ανάγκης η Κλάρεντον μετά τις δολοφονίες 8 ανθρώπων
Ο κυκλώνας Μπέριλ έπληξε την Τζαμάικα και κατευθύνεται προς το Μεξικό - Μεγάλες καταστροφές και τουλάχιστον 9 νεκροί ΚΟΣΜΟΣ 04.07.2024Ο κυκλώνας Μπέριλ έπληξε την Τζαμάικα και κατευθύνεται προς το Μεξικό - Μεγάλες καταστροφές και τουλάχιστον 9 νεκροί
Ο τυφώνας Μπέριλ ενισχύθηκε στην κατηγορία 5 / NHC ΚΟΣΜΟΣ 02.07.2024Ο τυφώνας Μπέριλ ενισχύθηκε στην κατηγορία 5 / NHC
Στη Σητεία ο πρόεδρος του Caribbean Marittime University, της Τζαμάικα ΚΡΗΤΗ 05.06.2024Στη Σητεία ο πρόεδρος του Caribbean Marittime University, της Τζαμάικα
Παρουσία Δένδια η αδελφοποίηση Σητείας- Μοντέγκο Μπέι στην Τζαμάικα ΚΡΗΤΗ 12.02.2023Παρουσία Δένδια η αδελφοποίηση Σητείας- Μοντέγκο Μπέι στην Τζαμάικα
Η επίσκεψη Δένδια στην Τζαμάικα και η αναφορά στη Σητεία! ΕΛΛAΔΑ 11.02.2023Η επίσκεψη Δένδια στην Τζαμάικα και η αναφορά στη Σητεία!
Αναχώρησε η αντιπροσωπεία της Τζαμάικα από την Κρήτη ΚΡΗΤΗ 23.09.2022Αναχώρησε η αντιπροσωπεία της Τζαμάικα από την Κρήτη
Στην Τζαμάικα η 2η φάση της αδελφοποίησης Σητείας - Montego Bay ΚΡΗΤΗ 22.09.2022Στην Τζαμάικα η 2η φάση της αδελφοποίησης Σητείας - Montego Bay
Ξετρέλαναν τους Τζαμαικανούς οι γεύσεις της Κρήτης! ΕΙΔΑ-ΑΚΟΥΣΑ 21.09.2022Ξετρέλαναν τους Τζαμαικανούς οι γεύσεις της Κρήτης!
Πώς γιορτάζονται τα γενέθλια σε όλο τον κόσμο; ΚΟΣΜΟΣ 02.08.2022Πώς γιορτάζονται τα γενέθλια σε όλο τον κόσμο;
Διαμαρτυρία κατά του πρίγκιπα Ουίλιαμ και της Κ.Μίντλετον στη Τζαμάικα ΚΟΣΜΟΣ 23.03.2022Διαμαρτυρία κατά του πρίγκιπα Ουίλιαμ και της Κ.Μίντλετον στη Τζαμάικα
Εκλογές στη Γερμανία: Πιθανό το ενδεχόμενο συνασπισμού «Τζαμάικα» ΚΟΣΜΟΣ 05.10.2021Εκλογές στη Γερμανία: Πιθανό το ενδεχόμενο συνασπισμού «Τζαμάικα»
Πέθανε ο Λι "Scratch" Πέρι, ο σαμάνος της ρέγκε LIFESTYLE 30.08.2021Πέθανε ο Λι "Scratch" Πέρι, ο σαμάνος της ρέγκε
Συνεχής ροή ΟΙΚΟΝΟΜΙΑ 23:30 «Βουτιά» της ζήτησης για μεγάλα και παλιά εξοχικά από ξένους - Τα στοιχεία για την Κρήτη
ΚΡΗΤΗ 26.02.2026 - 21:50 Ηράκλειο: 14 μήνες με αναστολή στον 47χρονο που «εισέβαλε» με το αυτοκίνητό του σε μίνι μάρκετ
ΚΟΣΜΟΣ 26.02.2026 - 20:58 Μεταναστευτικό: Πόσοι άνθρωποι έχασαν τη ζωή τους το 2025 - "Υγρός τάφος" νότια της Κρήτης
ΚΡΗΤΗ 26.02.2026 - 19:09 Ηράκλειο: Μητέρα κατήγγειλε εκπαιδευτικό ότι έπιασε τον γιο της από τον λαιμό