Τζαμάικα: Συναγερμός για τον ισχυρότερο κυκλώνα στην ιστορία της χώρας
Συνοδευόμενος από ανέμους των οποίων η ταχύτητα φθάνει τα 280 χλμ/ώρα, ο κυκλώνας Μελίσα κατατάσσεται στην Κατηγορία 5
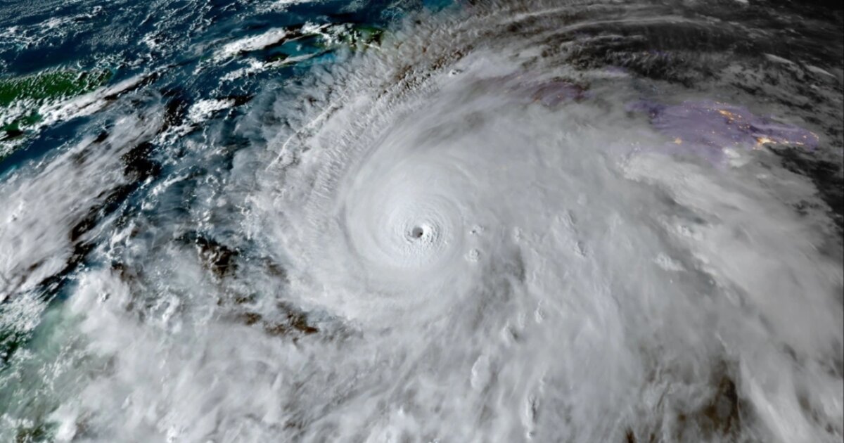
Σφοδρές βροχοπτώσεις και ισχυροί άνεμοι πλήττουν την Τζαμάικα καθώς πλησιάζει ο κυκλώνας Μελίσα, ο ισχυρότερος στην ιστορία της χώρας, απειλώντας να προκαλέσει καταστροφικές πλημμύρες και κατολισθήσεις.
Συνοδευόμενος από ανέμους των οποίων η ταχύτητα φθάνει τα 280 χλμ/ώρα, ο κυκλώνας Μελίσα κατατάσσεται στην Κατηγορία 5 – στο ανώτατο επίπεδο της πεντάβαθμης κλίμακας Σαφίρ-Σίμσον – και αναμένεται να πλήξει σήμερα την Τζαμάικα.
Ο πρωθυπουργός Άντριου Χόλνες προειδοποίησε για τον κίνδυνο πρόκλησης σημαντικών καταστροφών, ιδίως στο δυτικό τμήμα της χώρας. «Δεν νομίζω ότι καμία υποδομή σε αυτήν την περιοχή μπορεί να αντέξει έναν κυκλώνα Κατηγορίας 5, επομένως ενδέχεται να υπάρξουν σημαντικές καταστροφές», είπε στο CNN, προτρέποντας τους κατοίκους να βρίσκονται σε επαγρύπνηση για να προστατεύσουν τις οικογένειές τους, εκκενώνοντας περιοχές που διατρέχουν τον μεγαλύτερο κίνδυνο.
Ωστόσο, πολλοί κάτοικοι αψηφούν τις οδηγίες των αρχών και δεν εγκαταλείπουν τις εστίες τους. «Απλώς δεν θέλω να φύγω», δήλωσε στο Γαλλικό Πρακτορείο Ειδήσεων (AFP) η Τζένιφερ Ραμντάιαλ, η οποία ασχολείται με την αλιεία στο Πορτ Ρόιαλ, μια μικρή ιστορική πόλη κοντά στην πρωτεύουσα Κίνγκστον.
«Ακόμη κι αν ήταν… Κατηγορίας 6, δεν θα έφευγα», είπε ο Ρόι Μπράουν, υδραυλικός και πλακάς, αν και η κλίμακα Σαφίρ-Σίμσον είναι πεντάβαθμη. Εξήγησε ότι πολλοί κάτοικοι έχουν αρνηθεί να εγκαταλείψουν τις εστίες τους λόγω της άσχημης εμπειρίας που είχαν παλιότερα σε καταφύγια που είχαν στήσει οι αρχές.
Ο κυκλώνας Μελίσα έχει ήδη προκαλέσει τέσσερις θανάτους σε Αϊτή και Δομινικανή Δημοκρατία.
Ο τελευταίος ισχυρός κυκλώνας που σάρωσε την Τζαμάικα ήταν ο Γκίλμπερτ τον Σεπτέμβριο του 1988, που στοίχισε τη ζωή σε 40 ανθρώπους και προκάλεσε εκτεταμένες καταστροφές σε όλη τη χώρα. Έκτοτε, η νήσος έχει πληγεί από αρκετούς κυκλώνες, με πιο πρόσφατο τον Μπέριλ τον Ιούλιο του 2024. Απρόσμενα ισχυρός για την εποχή, άφησε πίσω τουλάχιστον τέσσερις νεκρούς.
Καθώς ο κυκλώνας Μελίσα πλησίαζε απειλητικά, οι αρχές της Τζαμάικας έκλεισαν τα λιμάνια και το διεθνές αεροδρόμιο της πρωτεύουσας.
Ο κυκλώνας απειλεί επίσης τις ανατολικές ακτές της Κούβας, τις νότιες Μπαχάμες και τα νησιά Τερκς και Κέικος.
Πηγή: ΑΠΕ-ΜΠΕ
- Σεισμός 6,1 Ρίχτερ στη δυτική Τουρκία: Πάνω από 20 τραυματίες - Καταρρεύσεις κτηρίων
- Ισραηλινός στρατός: Ο Ερυθρός Σταυρός παρέλαβε ένα φέρετρο με τη σορό ενός ομήρου στη Γάζα
- Σεισμός 6,1 Ρίχτερ στην Τουρκία - Κατέρρευσαν κτίρια στο Σιντίργκι - Αισθητός και σε νησιά του Αιγαίου
