Αλλάζουν τα πάντα σε 10 διασταυρώσεις σε όλο το Ηράκλειο- Δείτε φωτογραφίες
Επιχείρηση για περιορισμό των οχημάτων και ειδικότερα της παράνομης στάθμευσης επάνω σε διασταυρώσεις για την ασφαλή διάβαση πεζών και ΑΜΕΑ καθώς και για τον περιορισμό της χρήσης των αυτοκινήτων
Σε πορεία υλοποίησης εισέρχεται η μελέτη για τον ανασχεδιασμό δέκα διασταυρώσεων σε ολόκληρο το Ηράκλειο με στόχο την αποτροπή της παράνομης στάθμευσης και την ασφαλέστερη διάβαση πεζών και ΑΜΕΑ.
Πρόκειται για άμεσες παρεμβάσεις, χαμηλού κόστους, και δυναμικού χαρακτήρα (ευμετάβλητες) με στόχο να διορθώσουν προβλήματα, να προλάβουν τροχαία συμβάντα, να βελτιώσουν την ποιότητα διάσχισης των πεζών στους δρόμους και την ορατότητα για τα οχήματα.
«Θυμίζουμε ότι η διασταύρωση είναι το υπ’ αριθμόν ένα σημείο όπου παρατηρούνται τροχαίες συγκρούσεις εντός αστικών περιοχών, ως εκ τούτου στόχος των παρεμβάσεων αυτών είναι να αποκαταστήσουν βασικές αστοχίες του δικτύου όπως είναι η ύπαρξη βασικών υποδομών (πχ. πεζοδρομίων), η διαμόρφωση σταθερού πλάτους λωρίδων κίνησης, η ενίσχυση της ορατότητας, η ασφαλής διάσχιση πεζών και η ασφαλής διέλευση οχημάτων με έμφαση σε οχήματα έκτακτης ανάγκης και ΜΜΜ, και φυσικά η απαγόρευση της – ούτως ή άλλως παράνομης - στάθμευσης επί των διασταυρώσεων» αναφέρει στο Cretalive η συγκοινωνιολόγος και ερευνήτρια στο ΕΜΠ, Μαρία Σίτη, μία εκ των μελετητών της συγκεκριμένης συγκοινωνιακής μελέτης.
Γιατί γίνεται ο ανασχεδιασμός;
Οι διασταυρώσεις- συμβολές οδών είναι το υπ’ αριθμόν ένα σημείο όπου παρατηρούνται τροχαίες συγκρούσεις εντός αστικών περιοχών, σύμφωνα με στοιχεία του Ευρωπαϊκού Παρατηρητηρίου Οδικής Ασφάλειας, του Παγκόσμιου Οργανισμού Υγείας και πλήθους άλλων οργανισμών και φορέων.
Σύμφωνα με τα στοιχεία που προέκυψαν από τη μελέτη στις εξεταζόμενες διασταυρώσεις (όπως αντίστοιχα και σε δεκάδες άλλες στην πόλη του Ηρακλείου) εντοπίζονται πολλά από τα παρακάτω προβλήματα:
- Απουσία ασφαλούς διάσχισης πεζών (δηλαδή είτε δεν υπάρχουν διαβάσεις πεζών ή έχουν προβληματική χωροθέτηση),
- Ο πεζός αναγκάζεται να κινείται στο δρόμο είτε γιατί τα πεζοδρόμια στη διασταύρωση είναι εκτός προδιαγραφών (μικρό πλάτος, εμπόδια, απουσία ραμπών ΑΜΕΑ και οδεύσεων τυφλών) είτε γιατί δεν υπάρχουν καθόλου πεζοδρόμια,
- Παρατηρείται παράνομη στάση- στάθμευση στη διασταύρωση κατά παράβαση του ΚΟΚ κατά μέσο όρο πέντε ΙΧ αυτοκινήτων (υπενθυμίζεται ότι απαγορεύεται οποιαδήποτε στάση- στάθμευση σε διασταύρωση οδών και 5μ. από την τομή των οικοδομικών τετραγώνων ενώ απαγορεύεται και η στάση στάθμευση πάνω σε διαβάσεις πεζών καθώς και 5μ. από αυτές και τέλος απαγορεύεται η στάθμευση σε απόσταση 12μ. από STOP),
- Το εύρος του καταστρώματος της οδού στη συμβολή είναι μεγάλο με αποτέλεσμα να δημιουργείται η εντύπωση στους οδηγούς ότι εάν σταθμεύσουν δεν εμποδίζουν την κίνηση των άλλων,
- Διασταύρωση υπό γωνία που οδηγεί σε ελλιπή ή προβληματική ορατότητα και
- Εκκρεμούσες διανοίξεις οδών με τον ανασχεδιασμό επιχειρείται η άρση των παραπάνω προβλημάτων.
O ανασχεδιασμός αυτός εντάσσεται στην ευρύτερη στρατηγική του Δήμου για βελτίωση της βιώσιμης κινητικότητας και ενίσχυση της οδικής ασφάλειας που καλείται Σχέδιο Βιώσιμης Αστικής Κινητικότητας (ΣΒΑΚ Ηρακλείου).
Ποιες είναι οι βασικές αρχές του ανασχεδιασμού
Βασικές αρχές ανασχεδιασμού όλων των εξεταζόμενων διασταυρώσεων είναι
1) η δημιουργία συνθηκών οδικής ασφάλειας για όλους τους χρήστες,
2) η διασφάλιση και ενίσχυση της ορατότητας για πεζούς και οδηγούς,
3) η μείωση των "νεκρών χώρων" που καταλαμβάνονται παράνομα από στάση- στάθμευση ή και τοποθέτηση αντικειμένων/ εμπορευμάτων στο οδόστρωμα ή στο πεζοδρόμιο,
4) η διαπλάτυνση των πεζοδρομίων σύμφωνα με τις ισχύουσες εθνικές προδιαγραφές,
5) η απαγόρευση της στάθμευσης στο σύνολο της συμβολής με τεχνικό τρόπο που δεν βασίζεται στην καλή θέληση των πολιτών μόνο και τέλος
6) η διασφάλιση της διέλευσης των ΜΜΜ, των οχημάτων έκτακτης ανάγκης και των απορριμματοφόρων.
«Στόχος είναι να αυξήσουμε αρκετά τα πεζοδρόμια της πόλης ενώ γίνεται παράλληλα έρευνα για το πώς θα καλυφθούν τα κενά για τις θέσεις στάθμευσης. Ουσιαστικά άρουμε και σταματούμε το παράνομο παρκάρισμα, που σήμερα γίνεται σε αυτές τις δέκα διασταυρώσεις, προς όφελος των πολιτών που θέλουν να απολαύσουν την πόλη τους πεζοί» δήλωσε στο Cretalive ο αντιδήμαρχος Τεχνικών Έργων Γιώργος Σισαμάκης.
Οι 10 διασταυρώσεις είναι οι εξής (υφιστάμενη κατάσταση και προτεινόμενη λύση):
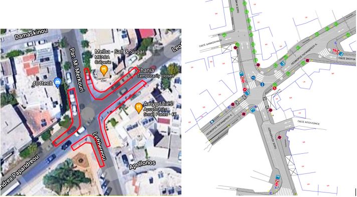
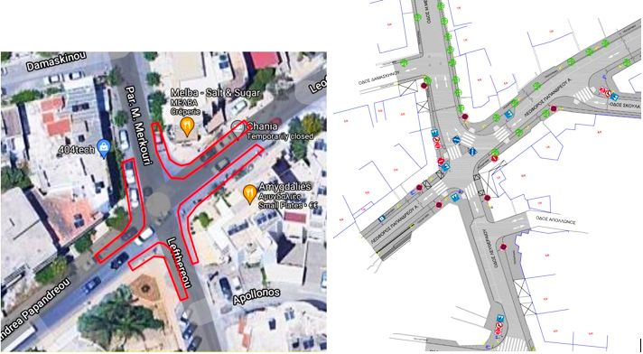
1. Για τη συμβολή των οδών Μελίνας Μερκούρη, Λευθεραίου και Παπανδρέου (Πλ. Νικαίας, Μασταμπάς):
Η παρέμβαση προβλέπει την επέκταση των υφιστάμενων πεζοδρομίων με οριοθέτηση της επιτρεπόμενης στάθμευσης σε εσοχές, προσδιορισμό σταθερού πλάτους λωρίδων κυκλοφορίας, τη διαμόρφωση τριγωνικής υπερβατής νησίδας για διαχωρισμό των κινήσεων από/ προς την Μ. Μερκούρη, την εκ νέου χωροθέτηση διαβάσεων πεζών με ράμπες ΑΜΕΑ σε όλες τις απολήξεις καθώς και τη διευθέτηση της όμορης συμβολής των Παπανδρέου – Σκουλά.

2. Για τη συμβολή των οδών Α. Παπανδρέου, Ατλαντίδος και Ικτίνου (Μασταμπάς- Θέρισσος):
Η παρέμβαση προβλέπει την επέκταση των υφιστάμενων πεζοδρομίων με οριοθέτηση της επιτρεπόμενης στάθμευσης μετά το πέρας της διασταύρωσης, την εκ νέου χωροθέτηση διαβάσεων πεζών με ράμπες ΑΜΕΑ σε όλες τις απολήξεις, προσδιορισμό σταθερού πλάτους λωρίδων κυκλοφορίας, ενώ λαμβάνει υπόψη τον ευρύτερο σχεδιασμό που αφορά τη μονοδρόμηση της οδού Ατλαντίδος με κατεύθυνση προς την Παναγίτσα Μασταμπά με ανάπλαση αυτής. Σημειώνεται ότι η πιάτσα ταξί παραμένει στο ίδιο σημείο με μετακίνηση της μίας θέσης ανατολικά επί της οδού Ατλαντίδος, όπως θα προσδιορίζεται από το σχέδιο της ανάπλασης της οδού. Διευκολύνεται η κίνηση των λεωφορείων που κινούνται στη συμβολή.

3. Για τη συμβολή των οδών Παπανδρέου, Πετρακογιώργη και Αντιοχείας (Μασταμπάς- Θέρισσος):
Η παρέμβαση προβλέπει την επέκταση των υφιστάμενων πεζοδρομίων σημειακά με οριοθέτηση της επιτρεπόμενης στάθμευσης μετά το πέρας της διασταύρωσης, τη δημιουργία νέων πεζοδρομίων επί της Πετρακογιώργη και δυτικά πλησίον Δεξιθέας, τον προσδιορισμό σταθερού πλάτους λωρίδων κυκλοφορίας, τη χωροθέτηση διαβάσεων πεζών με ράμπες ΑΜΕΑ σε όλες τις απολήξεις, καθώς και τη διευθέτηση της όμορης συμβολής των Παπανδρέου και Δεξιθέας.

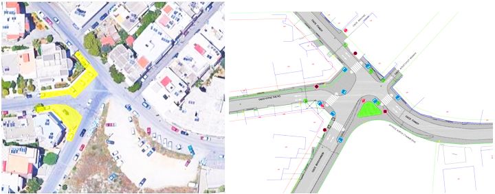
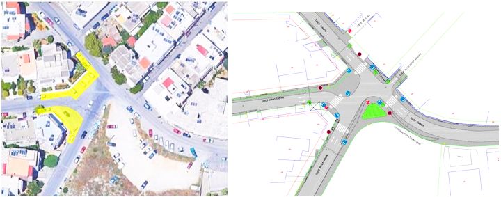
4. Για τη συμβολή των οδών Ιτάνου και Σεμέλης (Πατέλες):
Η παρέμβαση προβλέπει την δημιουργία νέων πεζοδρομίων με οριοθέτηση της επιτρεπόμενης στάθμευσης μετά το πέρας της διασταύρωσης, προσδιορισμό σταθερού πλάτους λωρίδων κυκλοφορίας, τη χωροθέτηση νέων διαβάσεων πεζών με ράμπες ΑΜΕΑ σε όλες τις απολήξεις, καθώς και τη διευθέτηση της όμορης συμβολής των Ιτάνου και Γιαννοπούλου.

5. Για τη συμβολή των οδών Ιτάνου και Κυράς της Ρω (Πατέλες):
Η παρέμβαση προβλέπει την δημιουργία νέων πεζοδρομίων με οριοθέτηση της επιτρεπόμενης στάθμευσης μετά το πέρας της διασταύρωσης, προσδιορισμό σταθερού πλάτους λωρίδων κυκλοφορίας, τη χωροθέτηση νέων διαβάσεων πεζών με ράμπες ΑΜΕΑ σε όλες τις απολήξεις καθώς και τη διευθέτηση της οδού Κυράς της Ρω ώστε να εκβάλει με ασφάλεια επί της Φιλελλήνων.

6. Για τη συμβολή των οδών Ανθέων και Τυμπακίου (Μεσαμπελιές):
Η παρέμβαση προβλέπει την δημιουργία νέων πεζοδρομίων με οριοθέτηση της επιτρεπόμενης στάθμευσης μετά το πέρας της διασταύρωσης, τον προσδιορισμό σταθερού πλάτους λωρίδων κυκλοφορίας, τη χωροθέτηση νέων διαβάσεων πεζών με ράμπες ΑΜΕΑ σε όλες τις απολήξεις, καθώς και τη δημιουργία νέου μικρού κοινόχρηστου χώρου νοτιο-ανατολικά της συμβολής.

7. Για τη συμβολή των οδών Ανθέων, Εθνομαρτύρων και Κρίνων (Μεσαμπελιές):
Στη συμβολή επικρατεί αναρχία κινήσεων και εκκρεμεί η υλοποίηση του σχεδίου πόλης με αποτέλεσμα τα οχήματα να κινούνται μέσω οδών που εισέρχονται σε οικοδομικά τετράγωνα. Η παρέμβαση προβλέπει την προσωρινή διαμόρφωση της υφιστάμενης οδού με μονή κατεύθυνση και προσδιορισμό της αντίθετης κατεύθυνσης διαμέσου του οδικού τμήματος που βρίσκεται μεταξύ των ΟΤ 350 και 350α. Παράλληλα με την παρέμβαση δημιουργείται άξονας για την κίνηση πεζών, προσδιορίζονται νέες διαβάσεις πεζών, σταθερού πλάτους λωρίδες κυκλοφορίας. Μετέπειτα προωθείται ανάλογη λύση η οποία συμβαδίζει με τη ρυμοτομία.

8. Για τη συμβολή των οδών Μεγάλου Αλεξάνδρου και Μνησικλή (Μασταμπάς):
Η παρέμβαση προβλέπει την δημιουργία νέων πεζοδρομίων με οριοθέτηση της επιτρεπόμενης στάθμευσης μετά το πέρας της διασταύρωσης και νέες διαβάσεις πεζών με ράμπες ΑΜΕΑ σε όλες τις απολήξεις, τη μονοδρόμηση της οδού Τζοβενή με είσοδο στη διασταύρωση, τη διαμόρφωση τριγωνικής νησίδας για διαχωρισμό των κινήσεων, τον προσδιορισμό σταθερού πλάτους λωρίδων κυκλοφορίας.

9. Για τη συμβολή των οδών Ελευθέρνης και Ισαύρων (Καμίνια):
Η παρέμβαση προβλέπει την επέκταση των υφιστάμενων πεζοδρομίων με οριοθέτηση της επιτρεπόμενης στάθμευσης μετά το πέρας της διασταύρωσης και νέες διαβάσεις πεζών με ράμπες ΑΜΕΑ σε όλες τις απολήξεις, τον προσδιορισμό σταθερού πλάτους λωρίδων κυκλοφορίας, ενώ λαμβάνει υπόψη τον ευρύτερο σχεδιασμό που αφορά τη μονοδρόμηση της οδού Ελευθέρνης με κατεύθυνση προς την Καμίνια με ανάπλαση αυτής.

10. Για τη συμβολή των οδών Π. Μελ. Μεταξάκη με την οδό Νίκης και με τις οδούς και Λ. Κουρνά και Στρυμώνος:
Η παρέμβαση προβλέπει τη μονοδρόμηση της Μ. Μεταξάκη με κατεύθυνση Β-Ν, τη δημιουργία νέων πεζοδρομίων εκατέρωθεν της οδού με νέες διαβάσεις πεζών και ράμπες ΑΜΕΑ στις απολήξεις αυτών, τον προσδιορισμό σταθερού πλάτους λωρίδων κυκλοφορίας, την αναβάθμιση των δύο διασταυρώσεων με τοπικές εξοχές που προσδιορίζουν με σαφήνεια τα σημεία παραχώρησης προτεραιότητας.

Δείτε επίσης:
Αλλάζουν οι τρεις κυκλικοί κόμβοι της "συμφοράς" στο Ηράκλειο- Δείτε φωτογραφίες
Ηράκλειο: Έρχονται οι αλλαγές στους τρεις κόμβους… της συμφοράς (photos)
Διαβάστε περισσότερες ειδήσεις από την Κρήτη και το Ηράκλειο
- Ευρωπαίοι αρχαιολόγοι μυήθηκαν στην αρχαία Κρήτη!
- 50ο Φεστιβάλ ΚΝΕ-Οδηγητή: "Γράφουμε ιστορία, αλλάζουμε τον κόσμο"
- Ασημένιο μετάλλιο για μία Κρητική βότκα
