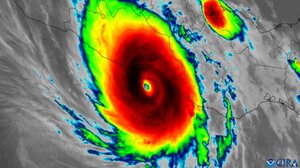
Τυφώνας Otis: Καταστροφική η επέλαση των φαινομένων για το Ακαπούλκο ΚΟΣΜΟΣ 26.10.2023Τυφώνας Otis: Καταστροφική η επέλαση των φαινομένων για το Ακαπούλκο
Συνεχής ροή ΚΟΣΜΟΣ 18:40 Στενά Ορμούζ: Σχέδιο συνεργασίας με διόδια στα πρότυπα της Διώρυγας του Σουέζ – Οι προτάσεις για το άνοιγμά τους
ΚΟΣΜΟΣ 18:02 Ιρανική πυραυλική επίθεση σε εργοστάσιο χημικών στο Ισραήλ – Φόβοι για επικίνδυνη διαρροή