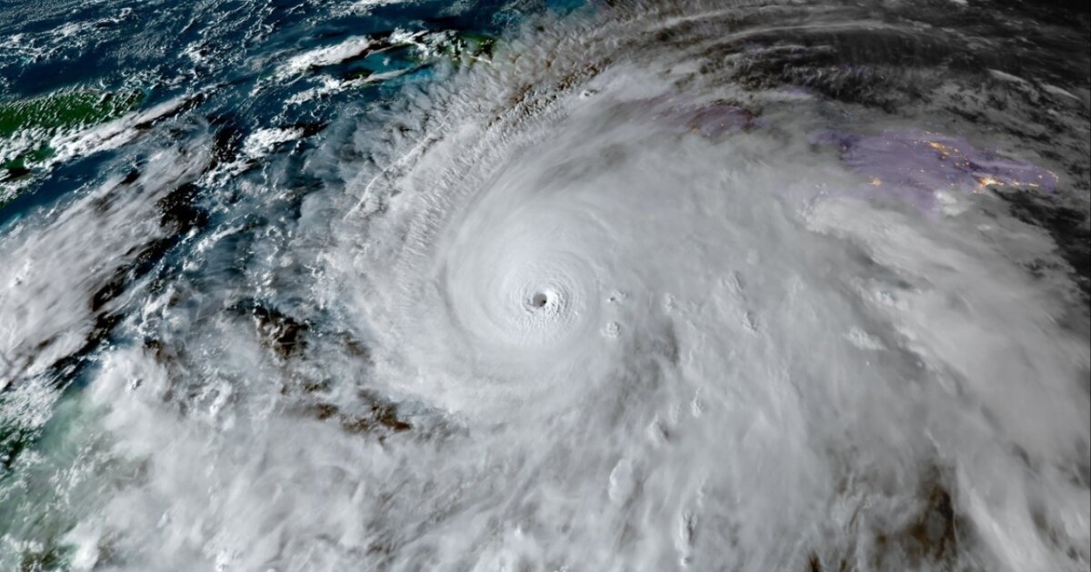
Ο κυκλώνας Μελίσσα έφθασε στη Τζαμάικα
Ο Μελίσσα είναι ο σφοδρότερος κυκλώνας που πλήττει το νησί αυτό τον αιώνα.
Ο κυκλώνας Μελίσσα, «ένας από τους ισχυρότερους που έχει καταγραφεί ποτέ στον Ατλαντικό», έφθασε στη Τζαμάικα συνοδευόμενος από ανέμους που πνέουν με ταχύτητα 300 χλμ/ω, ανακοίνωσε το Αμερικανικό Εθνικό Κέντρο Κυκλώνων.
Ο κυκλώνας Μελίσσα έφθασε στο νοτιοδυτικό άκρο της Τζαμάικα, με ανέμους 295 χλμ/ω, αναφέρεται στο κείμενο της ανακοίνωσης.
«Για την Τζαμάικα θα είναι ο κυκλώνας του αιώνα, με βεβαιότητα», σχολίασε η ειδική του WMO στους τροπικούς κυκλώνες Αν-Κλερ Φοντάν σε συνέντευξη Τύπου στη Γενεύη.
- Ερντογάν: «Η Τουρκία έχει εξελιχθεί σε δύναμη στο τομέα της Άμυνας»
- Βρετανία: Πέθανε στα 93 της χρόνια η ηθοποιός Προυνέλα Σκέιλς
- Νετανιάχου: Εντολή στον στρατό να πραγματοποιήσει αμέσως επιθέσεις στη Γάζα
